Parcel·la en venda dins del poble
- 815 m²
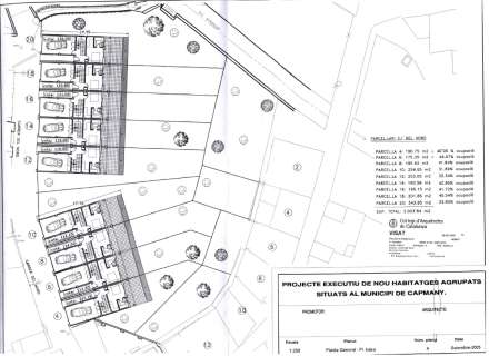
Conjunt de quatre parcel·les urbanes dins del poble de Capmnay, sostre edificabled'uns 165m2 distribuits en tres palntes: planta semi soterrani, planta baixa i planta primera, amb jardí, i una ocupació entre el 30% i el 40%.
· Parcel·la 04: 216,00m2 190,75m2 66.000€
· Parcel·la 06: 168,00m2 175,35m2 45.000€
· Parcel·la 08: 189,00m2 195,62m2 50.000€
· Parcel·la 10: 242,00m2 256,65m2 65.000€
Detalls
- Tipus d'Immoble Parcel·la
- Estat Molt Bé
- Orientació west
Distribució
- Sup. Parcel·la 815 m²
Certificat energètic
Ubicació
Galeria de fotos
Sol·licitar més informació
Moltes gràcies!
Esperem poder respondre't al més aviat possible, mentre tant, rep una cordial salutació.
El nostre objectiu és ser el més transparents possible amb els nostres usuaris i clients, sobre les dades personals que recollim. La seva privacitat és important per a nosaltres.
Mitjançant la lectura de la present Política de Privacitat, l'usuari queda informat sobre la manera en què Associació Aicat Empordà recull, tracta i protegeix les dades de caràcter personal que li són facilitades a través del lloc web - www.aicatemporda.com (d'ara endavant, el lloc web) i aquelles altres dades que pugui facilitar en un futur a Associació Aicat Empordà per altres mitjans. L'Usuari ha de llegir atentament aquesta Política de Privacitat, que ha estat redactada de forma clara i senzilla, per facilitar-ne la comprensió, i determinar lliurement i voluntàriament si vol facilitar les seves dades personals a Associació Aicat Empordà.
En omplir qualsevol formulari i fer clic a la casella "Accepto les condicions", l'USUARI manifesta haver llegit i acceptat expressament la present política de privacitat i atorga el seu consentiment inequívoc i exprés al tractament de les seves dades personals, d'acord amb les finalitats informades i els serveis que presta Associació Aicat Empordà.
Qui és el responsable del tractament de les seves dades?
- Identitat: Associació Aicat Empordà
- CIF: G-55342448
- Adreça postal: Carrer Francesc Macià, 26, 17493 Vilajuïga, (Girona)
- Correu electrònic: admin@aicatemporda.com
Tractament de Dades
Amb quina finalitat tractem les seves dades personals?
A Associació Aicat Empordà tractem la informació que ens faciliten les persones interessades amb la finalitat d'atendre la seva sol·licitud i enviar-li comunicacions comercials, així com els nostres butlletins. No es prendran decisions automatitzades en base a les dades proporcionades.
Durant quant de temps conservarem les seves dades?
Les dades es conservaran mentre l'interessat no en sol·liciti la supressió.
Quina és la legitimació per al tractament de les seves dades?
L'indiquem la base legal per al tractament de les seves dades:
- Consentiment de l'interessat: Atendre la seva sol·licitud i enviar-li comunicacions comercials, així com els nostres butlletins.
A quins destinataris es comunicaran les seves dades?
No es cediran dades a tercers, llevat d'obligació legal.
Transferències de dades a tercers països?
No estan previstes transferències de dades a tercers països.
Com hem obtingut les seves dades?
Les dades personals que tractem a Associació Aicat Empordà procedeixen del mateix interessat.
No es tracten categories especials de dades personals (aquelles que revelen l'origen ètnic o racial, les opinions polítiques, les conviccions religioses o filosòfiques, o l'afiliació sindical, dades genètiques, dades biomètriques dirigides a identificar de manera inequívoca una persona física, dades relatives a la salut o dades relatives a la vida sexual o l'orientació sexual d'una persona física).
Quins són els seus drets quan ens facilita les seves dades?
Qualsevol persona té dret a obtenir confirmació sobre si a Associació Aicat Empordà estem tractant dades personals que els concerneixin, o no.
Les persones interessades tenen dret a accedir a les seves dades personals, així com a sol·licitar-ne la rectificació de les dades inexactes o, si escau, sol·licitar-ne la supressió quan, entre altres motius, les dades ja no siguin necessàries per a les finalitats per les quals van ser recollides.
En determinades circumstàncies, els interessats podran sol·licitar la limitació del tractament de les seves dades, en aquest cas únicament les conservarem per a l'exercici o la defensa de reclamacions.
En determinades circumstàncies i per motius relacionats amb la seva situació particular, els interessats podran oposar-se al tractament de les seves dades. En aquest cas, Associació Aicat Empordà deixarà de tractar les dades, llevat per motius legítims imperiosos, o l'exercici o la defensa de possibles reclamacions.
Podrà exercitar materialment els seus drets de la següent forma: Té dret a accedir, rectificar i suprimir les dades, així com altres drets, indicats en la informació addicional, que pot exercir adreçant-se a la direcció del responsable del tractament.
Si ha atorgat el seu consentiment per a alguna finalitat concreta, té dret a retirar el consentiment atorgat en qualsevol moment, sense que això afecti la licitud del tractament basat en el consentiment previ a la seva retirada.
També tindrà dret a sol·licitar l'accés a les seves dades personals. Això significa que tindrà dret a rebre les dades personals que ens hagi facilitat en un format estructurat, d'ús comú i llegible per una màquina, per poder transmetre-les a una altra entitat directament, sempre que tècnicament sigui possible.
En cas que senti vulnerats els seus drets pel que fa a la protecció de les seves dades personals, especialment quan no hagi obtingut satisfacció en l'exercici dels seus drets, pot presentar una reclamació davant l'Autoritat de Control en matèria de Protecció de Dades competent a través del seu lloc web: www.agpd.es.











































